Contact us about this property
Highlights
Estimated valueThis is the price Wahi expects this property to sell for.
The calculation is powered by our Instant Home Value Estimate, which uses current market and property price trends to estimate your home’s value with a 90% accuracy rate.Not available
Price/Sqft-
Monthly cost
Open Calculator
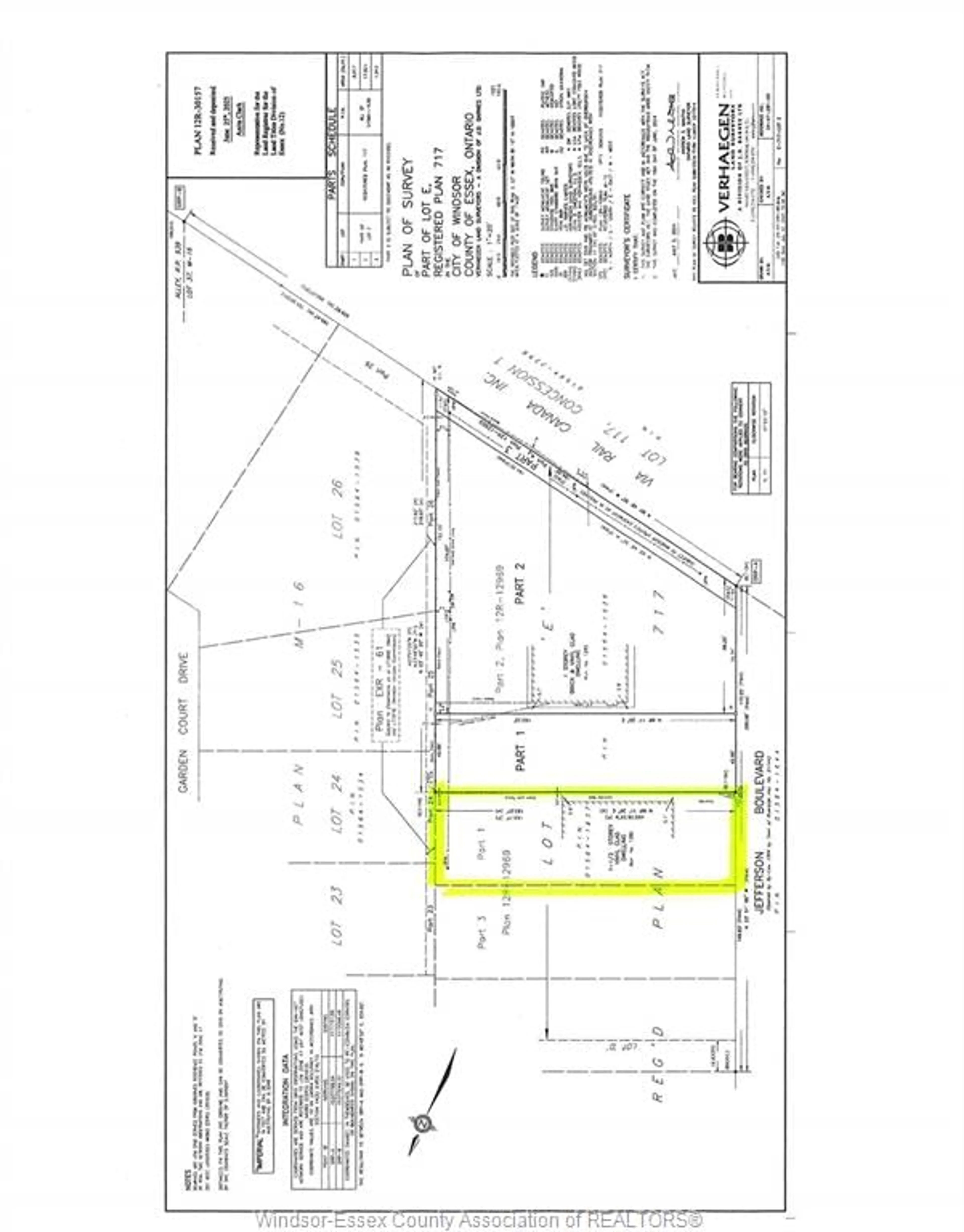
Description
Attention Builders and Self Builders! A fantastic opportunity! This 42 x 163.22 ft extra deep building lot is in a great Riverside location and is ready to build. Close to all amenities, parks and walking distance to David Suzuki Public School and George P Vanier French Catholic School. Sewers at lot line. Buyer to verify all service locations and permit requirements. Call for more information.
Property Details
Property History
2



