Contact us about this property
Highlights
Estimated valueThis is the price Wahi expects this property to sell for.
The calculation is powered by our Instant Home Value Estimate, which uses current market and property price trends to estimate your home’s value with a 90% accuracy rate.Not available
Price/Sqft-
Monthly cost
Open Calculator
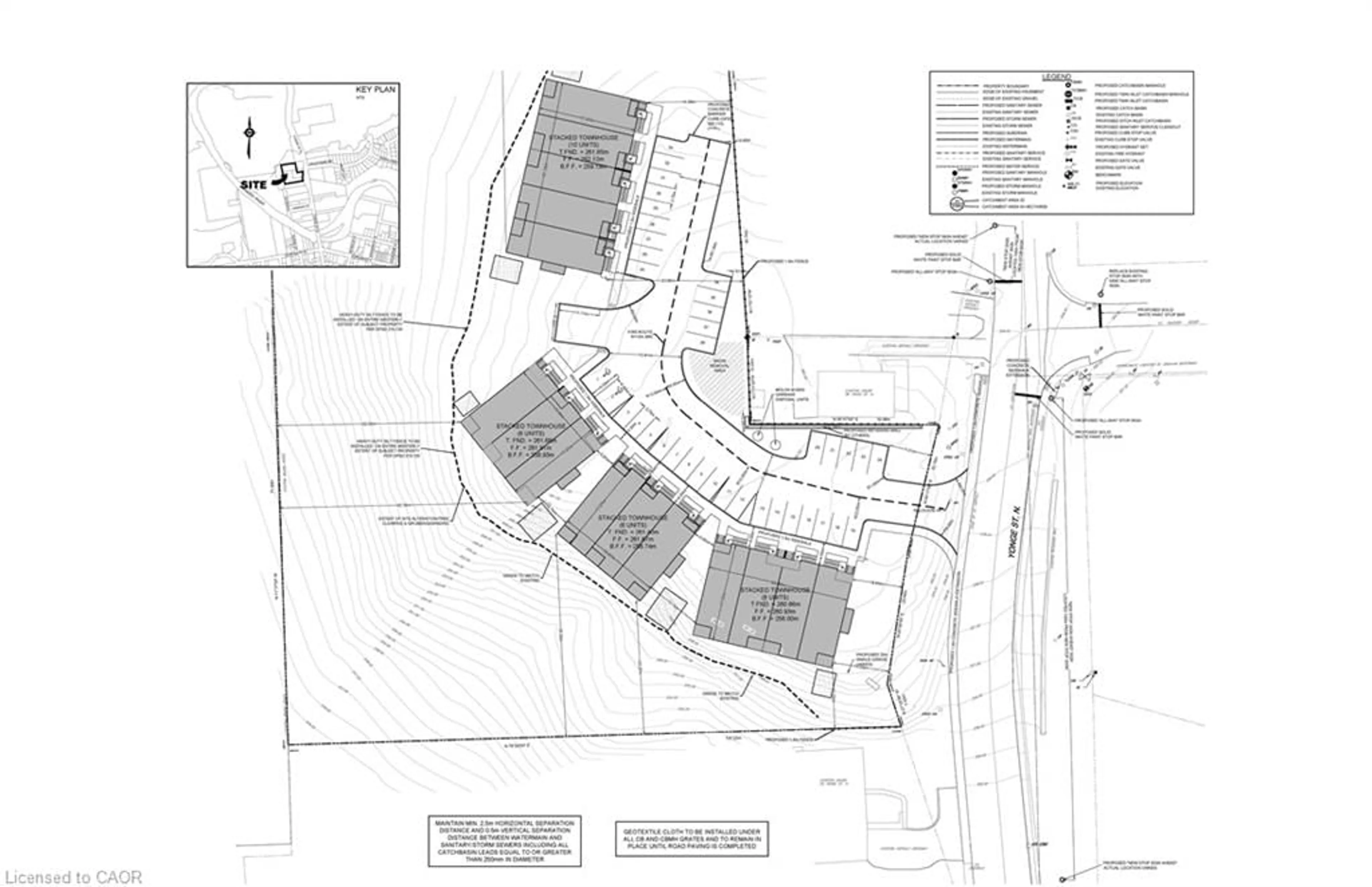
Description
As of right now, 30-unit stacked townhome site in Walkerton on 3.77 acres. Site Plan and Functional Servicing Report are approved in principal by the Town subject to execution of the Site Plan and Development Agreement. Due diligence materials are available upon execution of an NDA.
Property Details
Exterior
Features
Property History
3










